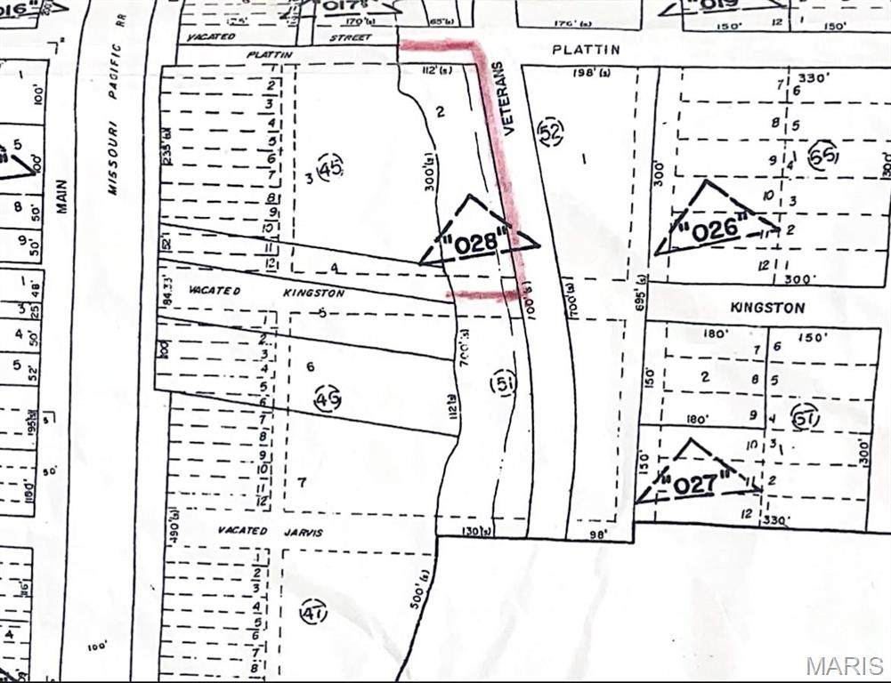
Description
ALSO, NOW JUST ALMOST NEXT TO THE NEW AMTRAK TRAIN STATION COMING TO DESOTO. PROPERTY FRONTS HIGHWAY E (VETERANS DRIVE) YOU COULD OWN HIGHWAY E FRONTAGE, AND PART OF ACTUAL JOACHIM CREEK, AND FRONTAGE, THIS WOULD MAKE A GREAT SIGN LOCATION, OR BILLBOARD WITH TRAFFIC COMING FROM ALL DIRECTIONS. PART OF THIS PROPERTY WAS SOLD TO THE CITY OF DESOTO FOR THE DEWITT STREET CONNECTOR, AND BRIDGE ALONG STATE HIGHWAY E, OR VETERANS DRIVE. THIS ALSO HAS A LARGE 300 FOOT FRONTAGE, PLUS PART OF THE VACATED STREET, AND ITS OWNER-BROKER PROPERTY OWNED A LONG TIME, IT ADJOINS SPECIAL USE PROPERTIES. ALSO, NO PRESENT SIGN ON PROPERTY, PREVIOUSLY, PRESENTLY .HISTORICALLY, AND NOW TODAY MANY CARS ARE PASSING THRU DESOTO, AND CONSTANT LOCAL (E) TRAFFIC PASSES THIS VISIBLE PROPERTY. ALSO, WITH A NEW AMTRAK TRAIN STATION COMING SOON ITS A PRIME LOCATION, LOCATION, AND LOCATION. PULL UP PARCEL, MAP, & AERIAL ON TOP OF THE LISTING
-
0BEDS
-
0.38ACRES
-
0BATHS
-
01/2 BATHS
School Information
Description
ALSO, NOW JUST ALMOST NEXT TO THE NEW AMTRAK TRAIN STATION COMING TO DESOTO. PROPERTY FRONTS HIGHWAY E (VETERANS DRIVE) YOU COULD OWN HIGHWAY E FRONTAGE, AND PART OF ACTUAL JOACHIM CREEK, AND FRONTAGE, THIS WOULD MAKE A GREAT SIGN LOCATION, OR BILLBOARD WITH TRAFFIC COMING FROM ALL DIRECTIONS. PART OF THIS PROPERTY WAS SOLD TO THE CITY OF DESOTO FOR THE DEWITT STREET CONNECTOR, AND BRIDGE ALONG STATE HIGHWAY E, OR VETERANS DRIVE. THIS ALSO HAS A LARGE 300 FOOT FRONTAGE, PLUS PART OF THE VACATED STREET, AND ITS OWNER-BROKER PROPERTY OWNED A LONG TIME, IT ADJOINS SPECIAL USE PROPERTIES. ALSO, NO PRESENT SIGN ON PROPERTY, PREVIOUSLY, PRESENTLY .HISTORICALLY, AND NOW TODAY MANY CARS ARE PASSING THRU DESOTO, AND CONSTANT LOCAL (E) TRAFFIC PASSES THIS VISIBLE PROPERTY. ALSO, WITH A NEW AMTRAK TRAIN STATION COMING SOON ITS A PRIME LOCATION, LOCATION, AND LOCATION. PULL UP PARCEL, MAP, & AERIAL ON TOP OF THE LISTING
Listing information © 2026 Mid America Regional Information Systems, Inc. Information from third parties deemed reliable but not verified. Data last update 2026-01-15T23:39:15.727.
Friend Real Estate | eXp Realty: 573-207-6033

Listing provided courtesy of Dan Cerone Real Estate: 314-842-7647. Listing information © 2026 Mid America Regional Information Systems, Inc.